Bella Vista Way

Bella Vista Way used to be a foothill street with a cul-de-sac, lined with one- and two-story bungalow houses that backed up to Whitley Avenue (formerly Curlew Street). Bella Vista Way actually ran parallel to Cerritos Place and the only entrance was on Cahuenga Blvd before it was demolished to make way for the 101 Freeway. Below is Cahuenga Blvd. in the 1937-Whitley Avenue can be seen ahead to the left. Bella Vista Way would be south of Whitley Avenue on the left side.

Only five of the lots remain from the original 3060 tract before the street was literally cut in half. Like many of the Whitley Heights residences and areas, Bella Vista Way has a unique history of characters and events. The above street sign was put in after a side road off of Cerritos Place had to be created in order for the residents of Bella Vista Way to be able to exit the area. Bella Vista means “Fine View” or “Beautiful View” in Spanish. Before Bella Vista Way, there was a small town called Bella Vista (near Redding) and the Hotel Bella Vista in San Francisco in the early 1900s. Then came Bella Vista Terrace in Sierra Madre where Irving Gill built the iconic bungalow courtyard in 1912.

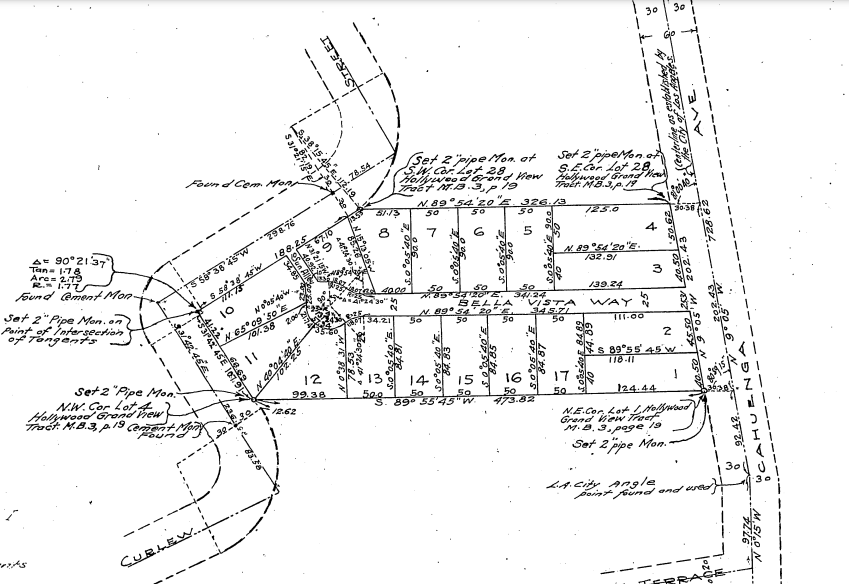
Below is the original 3060 tract and the 17 lots on Bella Vista Way. The first four lots contained Bungalow Courts which were popular in the early 1900s in Los Angeles where tiny houses could form around a courtyard and save space. Lot 10, originally listed as 6546 Bella Vista Way, was built in 1918. When the owner moved the garage from lot 11, it was now accessible on Whitley Avenue and changed to 2040 Whitley Avenue.

Bella Vista Way is now on Tract 5323 with the remaining lots of 9, 10, 11 and 12.

The first permit to be pulled was in July of 1916 by William J. Kessler for 6515 Bella Vista Way on lot 5 for a 5 room, one-story bungalow. In 1921, owner John S. Elder added two rooms in the basement, now adding 6517 Bella Vista Way. In 1929, the 3 room ground apartment and 2 room studio apartments were for rent and advertised as having French Windows. In 1935, owners Richard and Grace Van Horne extended the kitchen, put 2 rooms over the garage, and extended the porch on the second floor. In 1936, owners Richard and Grace Van Horne screened in the porch to create a “sleeping porch”. In 1950, the residence was advertised to be moved having a “knotty pine interior”, two bedrooms and a den. Famed photographer Baron Gayne Adolphus Demeyer died at 6517 Bella Vista Way in 1946. The 77 year old was born in Paris in 1968 and moved to New York City where he worked for Vogue (1913-1921) and Vanity Fair (1922). He took pictures of many actresses of that time including; Mary Pickford, Billie Burke, and Lillian Gish. Demeyer then went back to Paris and worked for Harper’s Bazaar until 1934. In 1938, he moved to Hollywood, moving to 6738 Wedgewood Place in Whitley Heights and then downsizing to his apartment.

Demeyer lived a “sort-of” scandalous life marrying British socialite Olga Caracciolo, who was rumored to be King Edward VII’s daughter. Demeyer allegedly married her out of convenience as they were both gay. However, he soon took to be a “Baron” as it appeared he liked that prestige. After Olga died in 1931, Demeyer, who at this time was in his sixties, started a romantic relationship with a young German boy named Ernest Frohlich (born circa 1914 in Austria)-he was 18 and Demyer was 64! Demeyer hired him as his chauffeur while he was working in Paris. The strange thing was that he adopted him as his son and called him Baron Ernest Frohlich de Meyer. A 1940 census listed the two of them living at 6738 Wedgewood Place as Demyer’s grandson.

As for the knotty pine interior house with French windows and a sleeping porch, it was for sale in 1950 by the state of California with no buyer. There is no record of the house being moved so it was demolished.

About the same time 6515-6517 Bella Vista Way was being built, E.T. Todd was building an 8 room double bungalow with a detached garage directly across the street located at 6516-6518 Bella Vista Way on lot 16. The “artistic” bungalow was finished in old ivory. In 1930 stage actor, turned movie actor James Harrison lived on one side of the bungalow. Harrison began his movie career in 1911 and his credited for 143 roles. He is best known for Charlie’s Aunt (1925) and in the 1950s, starred in tv shows such as The Lone Ranger, The Gene Autry Show, and The Cisco Kid. In October of 1950, Ira Hawthorne bought the house and moved it to 600 E. 117th Street but in the 1970s, that section of 117th Street was torn down to build the Century Freeway.

In July of 1916, O.W. Jones began construction on a one-story, 6 room bungalow located at 6512 Bella Vista Way on lot 17, adjacent to 6515-6517 Bella Vista Way. This would be the home of Edward and Maude Coe and their one son and six daughters. As early as 1910 Maude moved to Los Angeles from New Mexico, with her 2 year old son, Alfred and was living on 3rd Street. Edward married Maude Evans in Roswell, NM in 1905; Edward was employed as a school superintendent and Maude was a school teacher. Edward was listed as living at the Marine Hospital Sanitarium where he worked as a carpenter in 1910. Perhaps it was a government contract job and the Coes decided they wanted to move to Los Angeles. Edward shows up in Santa Monica in 1912; the family lived in several homes there. By 1917, the family rented 6512 Bella Vista Way, moving in with 9 year old Alford, 8 year old Anna Mae, 6 year old Dorothy, 5 year old Margaret, and 4 year old Evelyn. Betty would be born in 1919 and the last born would be Vivian a year after Betty.
By 1930 Edward was 56 years old and continued to work as a carpenter. All the children continued to live in the house, along with 3 roommates; yes, 13 people were living in the 6 room house! While all of the children were growing up, Mrs. Coe had all of her children involved in the arts and entertainment. In 1923, 10 year old Evelyn was represented in the Annual Children’s Floral Parade in Venice Beach. Evelyn was on the float called, “Home Sweet Home in Hollywood”, which represented the area’s bungalow homes. The parade became known as “The Miniature Tournament of Roses” because hundreds of children would be entered on tiny floats. Edward died in 1932 at the age of 60. The Coes continued to reside in the Bella Vista bungalow after his death.

The eldest, Alfred, was born in 1907 in El Paso, Texas. In 1930, 22 year old Alfred married Ruth Bellinger, 21. By 1940, Alfred was working as an animator at Walt Disney Productions. Alfred continued his career as a cartoonist in the 1950s and by this time, had three children with Ruth. She died in 1986. Below is Alfred circa 1910.

Anna Mae (pictured below) was part of the Girl Reserves and was the treasurer of the group one year. She was also involved in the Junior-Tri Girls Society, the Girl’s League, and the Glee Club at Hollywood High School. She was also a member of the Screen Kiddies Guild. In 1929, Anna Mae participated in the opera, “The Red Mill” at Hollywood High School and was part of the school newspaper, the year she graduated from high school. Two years later at the age of 19, she married 28 year old David Wengren, an actor who was born in Sweden in 1899. Wengren was cast in 27 minor roles between 1927 to 1943. By 1950, the Wengrens were living in the valley with three sons and Dave was a handyman working on a ranch and Anna worked for an auto insurance agency. They eventually moved to San Diego were Wengren died in 1975 at the age of 77. Anna never remarried and died in 1994.

Dorothy Eileen Coe, pictured below, was involved in the Matinee Musical Club in 1927 and the Euterpe Opera Reading Club in 1930. Dorothy was not as involved in activities as her older sister; she may have been more of the rebel child. A few days before Christmas in 1930, 17 year old Dorothy was reported missing. Her mother feared she had been kidnapped and described her daughter as “of a reticent nature, near sighted and wears glasses” and was not the type of girl to talk to strangers. Dorothy told her mother she was going Christmas shopping and never came home. Three of her sisters saw her shopping on Hollywood Boulevard carrying several packages. The day after Christmas, Dorothy was located all the way in Bisbee, Arizona. Dorothy had hitchhiked all the way from Hollywood and met Chief of Police, Clarence Brown, who happened to be her first cousin. Brown had not seen Dorothy since she was a small child, but recognized the family name. Dorothy was on her way to New York City, but her trip was halted when the City Editor of the Tucson Daily Citizen picked her up hitchhiking, realized she was a run away and alerted the police. Dorothy must have liked Arizona because in 1935, she eloped with Roscoe George in Yuma, Arizona. At the time, she was a commercial artist and her husband was a construction engineer at Paramount Studios and Now going by Eileen George, they lived in Los Angeles and had two sons. She died in 1998 in Las Vegas as she had been living there since the 1980s.

Margaret Powers Coe was born in 1914 in Los Angeles and she did not participate in any social activities as her sisters. She did live with her 73 year old grandmother, Adelaide Evans and her chauffeur for a period of time in 1930 on Valencia Street. Perhaps, her own house was so crowded she needed some space. While living there, she attended Belmont High School and a member of the Girls Student Government in 1931. By 1940, Margaret moved down to San Diego where she continued to live with her grandmother. The 25 year old was working as a saleswoman in a store called Road to Wear. By 1950, she was married to a wholesale fish proprietor named Charles Saccio and they had two sons. She and Charles divorced by 1969 and Margaret continue to reside in San Diego were she died in 1994.

Evelyn J. Coe was born in 1916 and was involved in the Selma School Pet Show for several years doing dances and wearing costumes. In 1927, she was also involved in the Screen Kiddie’s Guild with her sister, Anna Mae. However, in 1928, the Screen Kiddie’s Guild was investigated and arrested the director, Leroy Lane, 43, in serious charges involving three of the Coe children ages 6 to 10. Most likely, they were the 3 youngest daughters based on the ages. Lane was arrested and bonded out of jail on a $5,000 bond. The 3 girls told their mother that Lane bribed them with candy and then he sexually abused them. Following the charges, Lane resigned from the school and it was found out that Lane had similar charges in El Paso. Lane received a life sentence but was paroled in 1936 and moved to New York City to be a “promoter”.

In 1929, Evelyn won first prize for the girls at a Easter Egg contest. Evelyn graduated from Hollywood High School were she played basketball. By 1940, Evelyn was 24 years old and still living at 6512 Bella Vista Way with her mother and younger sister, Betty. Evelyn was working as a milliner.

On October 25, 1941, Evelyn flew with her fiance in his airplane to Arizona and eloped to British flying instructor Howard Riley, 32. The left the next day to return to Hollywood. Evelyn moved out of the Bella Vista home after she got married. Maude moved out of the Bella Vista home and moved in with her oldest daughter’s family in Van Nuys. Howard and Evelyn had two daughters but divorced by 1950. Both were living in Monrovia but in separate households, Evelyn living with her two daughters, ages 4 and 6. Evelyn eventually remarried in died in Orange County in 1989

Elizabeth L. (Betty) Coe was born in 1918 in Los Angeles. Betty also became involved in the entertainment industry as a child and was seen in the “Kiddie Review” staged by the Girard Theatrical Dance Studio with her younger sister, Vivian, in 1931. Betty graduated from Hollywood High School and then attended Los Angeles City College. She then moved to Honolulu, Hawaii and worked at Pearl Harbor. She met and married war engineer Alvin “Doc” Adams and they married in Hawaii. They remained in Hawaii where they had three children.

Vivian Irene Coe was born in 1920, the last of the Coe children. Vivian was also involved in the entertainment industry as a child and was most likely one of the children that got molested by Lane. In 1937, Vivian was a runner-up in Long Beach Queen of Queen’s bathing beauty contest. One month later, the 18 year old won another beauty contest and was awarded with a 7 year contract with Warner Brothers Movie Studio.

Vivian’s first roles were in 1938, in The Goldwyn Follies as a “Gorgeous” Goldwyn Girl and Love, Honor, and Behave as a party guest. In 1938, she was named “Ms. Los Angeles” in a beauty contest of over 100 contestants. In 1939, Vivian filed a complaint against a sports promoter for slapping her in a parking lot of a Hollywood nightclub, but the police did not bring charges against the man. She then sued him for $15,000 for “physical pain and public disgrace”. By 1942, Vivian was with another studio and used the stage name ‘Vivian Austin’ and appeared in a total of 27 films before her career was cut short by kidney failure, which resulted in blindness. Austin married millionaire auto dealer Glenn Austin (d. 1967) when she was 17. She later wed ophthalmic surgeon Kenneth A. Grow (d. 1993), who had operated on her and helped to improve her sight. In 2004, Vivian died of natural causes in a hospital.

As for 6512 Bella Vista Way, the house was relocated to 6745 Greenbush Avenue in Valley Glen in 1950, but was demolished in 1972 and used as a parking lot. In August of 1916, O.W. Jones built another home on lot 11, a five room bungalow, at 6542 Bella Vista Way. The 1,198 square foot, 2 bedroom, 1 bathroom home is still on the lot today. The house sits on a lot which is right below Whitley Avenue. Below from left to right are 6436, 6540 (next two houses, and 6542 Bella Vista Way, the white house that is partially obstructed by the tree.


In 1917, 6519 Bella Vista Way was completed and was on lot 5. The five room bungalow had a breakfast nook, hardwood floors, basement and garage. In 1951, the house was purchased and relocated to 423 Chestnut Avenue (see below) where the 1,740 square foot, 3 bedroom, 2 bathroom house remains today.

In August of 1917, Edward Delong pulled a permit for 6532 Bella Vista Way on lot 13, which is a bungalow duplex (6532-6536 Bella Vista Way). In 1920, silent screen actor and director, Charles Dorian and his wife, silent screen actress, Hazel Page Dorian resided at 6532 Bella Vista Way. Charles started in vaudeville in 1917, then moved to Hollywood and became a stuntman before joining MGM as assistant to director Clarence Brown. Charles was the assistant director on Rudolph Valentino’s, “The Eagle” in 1929. Hazel starred in six short films between 1915 to 1918 before marrying Charles and having two children.

Eventually the home was torn down and replaced with a new home built in 2015. The new house is 1,900 square feet with 3 bedrooms and 2.5 bathrooms and is currently used as a rental and uses the address of 6534 Bella Vista Way.

Another early home that was built in 1916, was on lot 14, 6528 Bella Vista Way by O.W. Jones, who built another 5 room Colonial Cottage with lots of roses, with a large breakfast nook and two sleeping rooms. In 1927, WAMPAS baby star, Patricia Avery, was living with her husband, art director, Merrill “Ben” Pye, in the home. The two were secretly married a year before in Canada, but kept it hush-hush. The couple met 13 years ago when they were in school together. Avery started as a stenographer in the studio before she began starring in small roles. Her first role was alongside Lillian Gish in 1927s Annie Laurie. She was credited for 4 roles between 1927 and 1928 as her movie career was abruptly ended. Pye, however, was later nominated for his work in the 1958 film, North by Northwest. They resided in La Crescenta until her death in 1973.

When 6528 Bella Vista Way was for rent, it was advertised as being near the Padre Hotel. This building still exists and is now called The Whitley House. There is no indication that the house was bought and relocated so it was most likely demolished.

6527 Bella Vista Way was built in 1918 on lot 7 by R.J. Lamar and the one story bungalow consisted of 6 rooms and had a detached garage. The hillside home was advertised for rent in 1933 and was advertised as having a large living room, furnace, real fireplace and sprinkler system. A year prior, piano lessons were being offered in the home by Franz Darvas, head of the music department at Immaculate Heart College in Hollywood. Later, Darvas became head of the piano department at the Orange County School of Fine Arts. 6527 Bella Vista was another home that was demolished.
6535 Bella Vista Way was built in 1917 on lot 9 by Marion Yerby Schmidt as a one-story, 4 room bungalow with a garage. The house was relocated in 1950 to 1101 West 255th Street in Harbor City, where is remains today. The house has 1,504 square feet with 4 bedrooms and 2 bathrooms.

6546 Bella Vista Way was built on lot 10 in 1918 by Blanche Wheelock as a two story residence. In 1923, the Wheelock’s added a new storage room and a sun porch to replace an existing patio. In 1939, a new garage was constructed on Whitley Avenue and the address was now 2040 Whitley Avenue. In 1982, a 10 x 12 pool was added in the back of the home and to repair fire damage to the home. Currently, the home is now a duplex with a total of 2,945 square feet with 3 bedrooms and 3 bathrooms. Below is the rear of the home circa 1946.



There is also a stairway on the left of 2040 Whitley Avenue that goes to to Bella Vista Way. Originally, the stairway was called Sun Alley, per the 3060 Tract record.

6538 Bella Vista Way was also built in 1918 and was on lot 12 and built by the Wheelocks’ as a two-story brick duplex with five rooms each. However, this building was demolished in 1994 and a retaining wall was placed where the duplex used to be. 6522 Bella Vista Way was built in 1919 on lot 15 as a six room one story white plaster bungalow with 2 bedrooms, tile bath with a shower, kitchen with tile sink, large breakfast room, old ivory and white enamel finish, fireplace, cement basement, 2 porches, and one large garage. The house was auctioned in 1950 and relocated to 9189 Haddon Avenue in Sun Valley where it still exists today.

6531 Bella Vista Way was built in 1922 on lot 8 as a 5 room bungalow. In 1951, it was moved to 17641 Tribune Street in Granada Hills.

6513 Bella Vista Way was studio manager and production assistant, Vaughn Paul’s residence in 1930. Paul worked as the assistant director for 11 films between 1936 to 1940 for Universal Studios. His films included; Two in a Crowd (1936) starring Joan Bennett, Mad About Music (1938) starring Deanna Durbin, Newsboys’ Home (1938) starring Jackie Cooper, and Hired Wife (1940) starring Rosalind Russell. Perhaps his most notable role was when he married actress Deanna Durbin in 1941. Durbin was 20 years old when they married; Paul was 25 years old. Unfortunately, they divorced less than two years later due to the strain of Durbin’s hectic movie career.

In 1946, actress and dancer Rae Randall was living at 6513 Bella Vista Way. Randall is not the Rae Randall who served as Greta Garbo’s double and committed suicide in 1934. This Rae Randall was a 24 year old aspiring actress who was attacked by a 25 year old brass polisher named Bill Talbert in June of 1946. Randall was objecting Talbert’s advances so he beat her up. She had a fractured knee, split and puffed lips, two black eyes and multiple bruises all over her body. During the trial, she showed up in a cast due to her fractured knee and her eyes still showed evidence of bruising. Apparently, she accepted a ride from Talbert and instead of taking her home, he drove her to an isolated area in the Hollywood Hills. That is when he tried to have sex with her and she tried to get away so he attacked her. He dragged her out of the car, tore her clothing and hit her again. A car drove by and Talbert fled taking her purse with $20 inside.

A foursome went out, including a studio employee known to her as “Bill”. Police arrested William T. Talbert, 25, who indicated he was drunk and when she slapped him, he got mad. Police found Rae’s purse and personal papers at his apartment at 2255 Cahuenga Blvd.

6534 Bella Vista Way was originally built in 1917. In 1923, Scottish born Lucy Maitland resided at 6534 Bella Vista Way. She married British actor Alec Francis. Francis was credited for 244 roles between 1906 to 1934. His most notable roles included; Mata Hari (1934) starring Greta Garbo and Ramon Navarro, Oliver Twist (1933), and Alice in Wonderland (1933). The 56 year old was living at the Hollywood Hotel; Lucy was three years old than Francis. After they married they moved to a house on North Ogden Drive. Francis died in 1934 after surgery complications.

Actor Rex Cherryman lived at 6534 Bella Vista Way in 1922, a year before Maitland. The Broadway actor starred in multiple plays between 1924 to 1927. He then was credited for 5 minor film roles between 1919 to 1928 (his death-he died in France of septic poisoning). He was third billing in 1921’s Camille starring Alla Nazimova and Rudolph Valentino. In 1920, he had a minor role in Alla Nazimova’s Madame Peacock. Cherryman attended Colgate University in New York and met and married student Ethel Lamb in 1918. He worked at the Aladdin Theatre in San Francisco, where he first met Barbara Stanwyck. He made several notable appearances on the stage. Among them were the musical comedy Topsy and Eva which ran from 1924 through 1925, The Valley of Content in 1925, and the Willard Mack penned drama The Noose, which ran from 1926 through 1927. While performing in The Noose, Cherryman had an affair with fellow cast member Stanwyck.

Stanwyck fell for the older Cherryman, but he was married. They had a love affair for two years. They decided to take a voyage to Paris on a sailboat. Along the overseas journey, Cherryman died of septic shock at the age of 31; Stanwyck was only 19 years old at the time. Right before Cherryman died, Esther found out about their affair and was going to file for divorce. 6534 Bella Vista Way was demolished in 1951. A new house was built on the lot in 2017 (see 6532 Bella Vista Way above).

Lot 1 of tract 3060 was comprised of 2017 and 2019 Cahuenga Blvd, both single family bungalows which sat on the southwest corner of Bella Vista Way and Cahuenga Blvd. Childhood theatrical actor Charles Perrin lived here with his parents in 1920. Later, Perrin would work for the small props department in the 1950s. Between 1937-38, Jules Damsker resided here and also worked for the property department at a studio. Lot 2 consisted of 2023 and 2025 Cahuenga Blvd, two bungalows and 6508 Bella Vista Way which sat in the back of the property. 2017 Cahuenga Blvd. was relocated in in 1950 to 1310 Sandison Street in Wilmington and still exists (below).

In 1922, stage and film actress Estelle (Estella) Taylor was living at 2023 Cahuenga Blvd. with actor, George Walsh, who was still married to actress Seena Owen. Ida Estelle Taylor (1894-1958) was credited for 47 roles between 1919 and 1945, most notably; Monte Cristo (1922) and California Romance (1922), both opposite John Gilbert and Cimarron (1931), starring Irene Dunne. A former typist, Estelle Taylor married a banker at age 14 and, after leaving him, moved to New York to study dramatic acting. She also modeled for artists and appeared in the chorus of a couple of Broadway shows. In the early 1920s she came to Hollywood and was noted as one of the film state’s most beautiful women. In 1925 she married 1920s heavyweight champion boxer Jack Dempsey. On the night of December 4, 1944, she spent an evening of dinner and drinks with best friend and actress Lupe Velez and was the last person to see Lupe before she committed suicide. Taylor was founder and president of the California Pet Owners’ Protective League and was widely known for her devotion to pets. In 1953 she served on the Los Angeles City Animal Regulation Commission. Taylor was married and divorced three times but not to George Walsh.

George Walsh was credited for 79 roles, primarily minor parts, between 1915 to 1936. He had small roles in Cleopatra (1934) and Klondike Annie (1934) starring Mae West. Walsh was the younger brother of director Raoul Walsh and married actress Seena Owen in 1916. Walsh was originally cast to play the title role in Ben-Hur: A Tale of the Christ (1925). An attempt at shooting the film in Italy resulted in disaster, mostly due to labor problems. The newly formed studio MGM agreed to re-shoot the film in America, but only if Walsh was replaced with Ramon Novarro but was not told and discovered it while still in Europe when co-star Francis X. Bushman read it to him from a newspaper headline. Walsh left acting in 1936 to manage his brother’s increasing horse breeding and racing interests. Until the end of his life, the losing of the role of Ben-Hur was a sensitive subject of discussion for Walsh.

Silent screen actress, Seena Owen, born Signe Mary Auen, was credited for 66 roles between 1914 to 1932. She starred opposite Douglas Fairbanks in The Lamb in 1915, Intolerance (1916), starring Lillian Gish, and Queen Kelly (1932), starring Gloria Swanson. She had a flat voice and would not make it in sound pictures. Owen was one of the many Hollywood socialites on board the yacht of newspaper tycoon William Randolph Hearst when film producer Thomas H. Ince died there under mysterious circumstances. In 1922, Walsh left Owen for Estelle Taylor and they moved in together in the Whitley Heights bungalow. In March of 1922, Owen filed for divorce and asked for alimony and full custody of their 5 year old daughter. Owen cited in the divorce papers that Walsh and Taylor were living together and she wanted more settlement money.

Walsh and Owen were spotted at the 2023 Cahuenga address as early as January of 1922. Taylor then sued Owen for “destruction of her good reputation for morality and virtue” and has damaged her reputation in the film industry at the extent of $100,000 ($1.7 million today). Taylor stated that on January 27 at midnight, Owen had hired three men to enter 2023 Cahuenga Blvd. and posed as police officers in order to obtain “a view of the interior of her home in order to testify in Mrs. Walsh’s divorce case” and “determine if any illegal acts were being committed”. Furthermore, the compliant indicated that Owen attempted to extort $25,000 from Walsh or she would “air the dirty laundry” at the divorce hearing. Taylor claims that her mother invited George Walsh to live in their bungalow against her wishes and that Walsh was actually an “old family friend” that lived there several times before. Taylor’s mother knew his father, a prominent New York tailor and brother, Raoul Walsh, the director. Walsh was staying at the Ambassador Hotel before he moved in with Taylor. Taylor’s mother was residing in New York during this fiasco. Below is Taylor inside the kitchen in 1924.

During the divorce proceedings, Walsh claimed that he separated from her and moved into the Ambassador Hotel because she was abusive towards him. He indicated that she once threw a flat iron at him and denied he was having an affair with Taylor. When Taylor was called to testify, she also denied that they were romantically involved. Owen claimed that she found a love letter written to her husband by Taylor. The married couple were officially divorced in December of 1922 and if Walsh and Taylor were involved, it eventually sizzled out. By 1925, Taylor had married boxer Jack Dempsey and moved to Los Feliz (see below). An interesting note is that Taylor was previously married to Kenneth Peacock in 1911 in Delaware and the divorce became final in 1925 so she could marry Dempsey. Peacock was not mentioned at all during her scandal with Walsh. It appears that she left him in Delaware and moved to Hollywood.

6508 Bella Vista Way was a bungalow built in 1921. In December of 1928, the Kelly family was living in the single family bungalow and had to file a complaint against a young Spanish girl named Juanita Montanya for stealing jewelry, clothing and a baby carriage from their home. She allegedly went through a window while she was carrying her baby and stole the items. She was seen by neighbors walking down the street with the baby carriage, carrying loads of clothing and jewelry. When the neighbors questioned her what she was doing, she told them she was moving. In January of 1929, they had to file another complaint against her for stealing from them a second time. She went over to the house and when no one answered the door, she decided to enter the house through a window and take two red coats belonging to Mrs. Kelly. Montanya received probation for the theft and she told authorities that she took the items to use as a disguise because certain persons were following her and attempting to persecute her.

This is not the first time the Spanish actress stole. In 1926, Montanya, who was 18 years old at the time, took clothing from the home of Ms. Hazel Christensen on Melrose Avenue. Montanya had been renting a room from Christensen and when she left, she took the items and was arrested for the theft. She was placed on probation for the petty theft charge and for peeking through windows of Hollywood stars. A year later, she sued actor Wallace Beery for $1 million dollars citing he sexually assaulted her twice in December of 1927. Beery denied the allegations, stating she had a “disordered mind”. Montanya was taken into custody for violating her probation from the 1926 theft charge. Montanya made further allegations that Beery got her pregnant. The case was eventually dismissed a few months later.
When Montanya was placed on probation the second time for taking the Kelly’s items, her public defender felt sorry for her and became her “guardian”. She moved into J.H. Davis’ home for several months. She became unmanageable so Davis surrendered his guardianship and she was brought back in front of the judge in April of 1929. In July of 1929, she was arrested for another burglary charge in Riverside and pled guilty. She had moved to Riverside and moved in with a pastor and his family, who also felt sorry for her. She ended up stealing from the family. In November of 1930, Montanya married a 43 year old contractor from Hollywood. At the time, Gordon Douglas was a widow and had two sons: ages 16 and 18; he claimed he knew Montanya for over a year and a half. Her child had been taken from her care and now married, she wanted to get custody back of the 3 year old child that she still claimed was the child of Wallace Beery.

Lots 3 and 4 of the 3060 Tract comprised of several bungalow courts: 6503-6505 Bella Vista Way, 6508 Bella Vista Way, 2029 Cahuenga Blvd., 2031-2033 Cahuenga Blvd., and 2035 Cahuenga Blvd. 6503-05 Bella Vista Way was a duplex with two three room apartments with a built in beds and were probably demolished. 6508 Bella Vista Way was a 5 room bungalow house and separate garage; the garage was bought and relocated to 6745 Greenbush Avenue in 1950, but demolished in 1972. Both the Cahuenga duplexes must have been demolished during the freeway construction.

2029 Cahuenga Blvd., a six room duplex, was built in 1922. This bungalow as the home of Daniel Webster Nields in between 1934 and 1935. Nields became known as the “Park Slayer Murderer” as the 61 year old gardener and manager of these bungalow courts, confessed to killing 41 year old Frances Conklin in Griffith Park in June of 1935. Nields had divorced and moved to Hollywood five years prior. He met Conklin about 8 months before he murdered her. Nields took Conklin and her 85 year old mother for a picnic at Griffith Park. While, Mrs. Conklin sat on a blanket, Nields took Frances on a romantic walk and then he shot and killed her. According to Nields, two days prior to her death, Frances accused David of loving his sister too much which antagonized him. After he shot her, he left Mrs. Conklin on the blanket and went to his brother’s house and told him what he did. He said he shot her five times but only intended to shoot her four times so he would turn the gun on himself and join her. However, the gun jammed so he left. His brother convinced Nields to go back; they ended up in a bar located at 6400 Cahuenga Blvd. and were overheard discussing the murder so a patron called the police. Nields was arrested in the bar a few hours after the killing. The gun was stolen from Bert Avord who lived at 6509 Bella Vista Way.

Ironically, one week after Francis Conklin’s death, Nields 21 year old nephew went on a picnic with friends to Arroyo Park and was swinging from a rope seven feet from the ground. C.W. Nields lost hold of the rope and plunged down to the rocky surface, landing on his side. The fall ruptured his liver and he died at a local hospital. Daniel Nields went to trial in August of 1935, pleading insanity. Alvord, whom Nields stole the gun from, testified that he thought he was insane since he watched him watering the sidewalk more than the lawn. Others testified that Nields would only bathe in water that was filled with orange peel, would cry on the street and failed to remember old acquaintances. He also who had two sisters who were declared insane. The judge ruled him to be sane and sentenced him to life in prison on August 22, 1935. Nields was denied parole in 1944, but eventually paroled in 1946 and died in 1955 while still on parole. Below, the cul-de-sac of Bella Vista Way can be seen at the bottom of the photo. 2040 Whitley Avenue (6546 Bella Vista Way) is above the cul-de-sac to the right. Sun Alley is next to that house, followed by 6535 Bella Vista Way, 6531 Bella Vista Way and 6527 Bella Vista way.

By the early 1950’s, the state of California seized the land to build the Hollywood Freeway. Below is the area that used to be Bella Vista Way. The garage of 2040 Whitley Avenue can be seen in the center.

Below the top of the roof of 2040 Whitley Avenue can be seen below at the bottom of the photo looking towards Cahuenga Pass.

Below is what is left of Bella Vista Way today.


Existing Properties:
6536 Bella Vista Way (or uses address of 6534 Bella Vista Way) was built in 2015, consists of 1,900 square feet with 3 bedrooms and 2.5 bathrooms. This residence is used as a rental property pictured below.

6540 Bella Vista Way is two residences that are pictured below and were built in 1918 and consists of 2,336 square feet with 4 bedrooms and 2 bathrooms. This address is used by the two houses on the left pictured below.


6542 Bella Vista Way was built in 1917 and consists of 1,198 square feet with 2 bedrooms and one bathroom.


Leave a comment