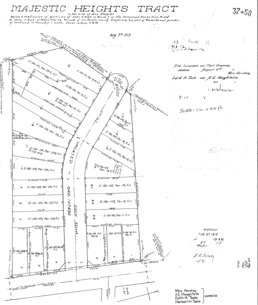
Majestic Heights

Majestic Heights Tract was located on the 6000 block of Odin Street, west of Highland Avenue, below the High Tower elevator, and across the street from Whitley Heights. In 1919, four people bought this plot of land: Mira Hershey (owner of the Hotel Hollywood), A.E. Houghtelin, Edith H. Teele, and Herbert H. Teele. There were a total of 23 lots developed on the Majestic Heights Tract: Lots 1 through 6 were located on Highland Avenue and lots 7 through 23 were on the 6000 block of Odin Street that turned into a cul-de-sac at the bottom of the Hollywood Bowl. Real estate mogul Charles Toberman was hired to help develop the lots and sell the homes. Between 1919 to 1923 all of the lots were sold and had homes built on them. Famed architects Arthur Kelly, Frank Rasche, and Marshall Wilkinson built many of the homes in Majestic Heights. Kelly would even design and live in one of the houses for many years; his business associate and owner of the Hotel Christie, H.H. Christie lived next door to him.

All of the houses on 6000 block Odin Street have been researched as to the original owners, architect and/or contractor, the style of the home, notable tenants, significant events, and what happened to the home before the land was sold to the Hollywood Bowl for parking lot in the 1950s. Lots 7 through 23 will be presented in that order from the left side of Odin Street to the right side. Below is a map of the area prior to the Majestic Heights Tract being bulldozed for yet another parking lot.

6816 Odin Street (Lot 7)
The one-story, 6 room house with a detached garage, was built by owner, Frances L. Hutchinson in 1920 at 6816 Odin Street. The permit listed Ms. Hutchinson as the architect and contractor of the home. Hutchinson, a dressmaker, married Albert Condee in 1927 and they continued to live on Odin Street until 1938 when they moved to Long Beach. The Condees kept the Odin Street house to use as a rental. One of their first tenants was artist Charles Russell, a.k.a. “Kid Russell” the great cowboy painter, who rented the house in 1926. Charlie’s wife, Nancy Cooper Russell stated, “We were renting a place at 6816 Odin in the Hollywood Hills, not far from a young director, John Ford, who had taken an interest in Charlie’s paintings”.

In 1930, actor Frances X. Bushman rented the house. Bushman (1883-1966) started his silent film career in 1911 working on short films with the Essanay Manufacturing Company and then starting full length features in 1916. In 1916, he played the part of Romeo in “Romeo and Juliet” with actress Beverly Bayne who would become his second wife in 1918.

By then, Bushman was an established actor who bought the Caheunga Vista Inn on the top of Whitley Heights and converted it into his house where he would breed Great Danes. In 1925, Bushman got the part of Messala in Ben-Hur and named a pet parrot after his role. The parrot flew off the grounds in Whitley Heights in 1926. Bayne filed for divorce although Bushman wanted to reconcile; she reported desertion when he was filming Ben-Hur overseas. About that time, it was reported Bushman owed over $23,000 in back taxes and he began selling some of his prized dogs and then had to sell his estate in Whitley Heights. Bushman downsized and moved into this house for a year. Bushman continued to act up until his death, appearing in Hollywood Boulevard (1936), Dick Tracy (1937), Sabrina (1954), and several tv guest appearances.

After Bushman moved out, the Condees converted the one-car garage into a two-car garage and enlarged the front bedrooms for the next renter, actress Louise Closser Hale. Hale moved here temporarily before moving to 6766 Wedgewood Place in Whitley Heights, where she lived until her death in 1933. Hale started working in Hollywood in 1929 in her mid-fifties. Between 1929 and her death in 1933, she had 30 film credits working with stars such as Al Jolson, Constance Bennett, Janet Gaynor, Jean Harlow, Loretta Young, Marlene Dietrich, Bette Davis, Joan Crawford, Robert Montgomery, Harold Lloyd, Tallulah Bankhead, Carole Lombard, Ramon Novarro, Gary Cooper, and Clark Gable. Hale is best known for her part in George Cukor’s “Dinner at Eight” starring Louise Dressler, John Barrymore, Wallace Beery, and Jean Harlow. Her last role was in The Marx Brothers: “Duck Soup” before she passed out shopping on the street of heat exhaustion and died a few days later in the hospital.

In 1934, actor Allen Edwards and his wife, actress Gloria Foy rented the 6816 Odin Street home. Edwards had 38 credits between 1916 and 1937. His first role was in Mary Miles Minter’s “Rose of the Alley” in which he played Minter’s boyfriend. Edwards actually starred in a film with Louise Hale Closser in 1933 called “The White Sister” starring Helen Hayes and Clark Gable. He would later work with Lionel Barrymore, Spencer Tracy, James Gleason, Zasu Pitts, Gene Autry, and Dennis O’Keefe. Edwards last wife, actress Nita Pike, committed suicide 3 days after his death in 1954. She was devastated and overdosed on pills and left a suicide note. Pike was the secretary in Charlie Chaplin’s “The Great Dictator” in 1940.

Edwards wife, actress Gloria Foy, lived here with him. Foy started in vaudeville and her only role in film was a part in “Dancing Lady” starring Joan Crawford, Clark Gable, and Franchot Tone. They were married in Ohio in 1930. In 1923, at the age of 22, Foy inherited 1.5 million dollars from a rich uncle from Rio de Janiero. In 1933, Foy quit acting to become an aviator. 6816 Odin Street was demolished for the Hollywood Bowl parking lot in 1954.
6820 Odin Street (Lot 8)

Architect Frank Rasche (built Loma Theater in Hollywood) built this 2 story, 6 room house with 3 bedrooms, 2 bathrooms and a detached garage in 1919 and Toberman put the house up for sale in 1921 at 6820 Odin Street. Isaac Ginsburg lived in the home with his three sons circa 1930. On July 11, 1932, Ginsburg, who was 54 years old, was found dead in his home from a hanging. Police indicated he left a goodbye note but did not reference the reason for committing suicide. Pearl Ginsberg, his wife , indicated Ginsburg had been despondent over financial issues.
In 1939-1940, screenwriter Peter Dixon lived in the house and wrote his first screenplay in 1939 called “Down the Wyoming Trail with Tex Ritter (father of John Ritter). Dixon wrote several episodes on “The Adventures of Superman” in 1952-53 and 10 episodes of “Flipper” between 1964-67, Dixon also wrote single episodes for The Waltons, Little House on the Prairie, Knight Rider, and 21 Jump Street. Dixon’s claim to fame would be later when he created and wrote 123 episodes of “Danger Bay”, a tv series which aired 1985 to 1990, a Disney production. More recently, Dixon has also published many books about surfing and beaches and fictional books. The 92 year old has surfed for more than five decades and is recognized around the world as one of the foremost authorities, as well as one of the best instructors, of the sport. He has surfed both coasts of the United States, in Mexico, El Salvador, Hawaii, Fiji, Portugal, and Puerto Rico.

In 1954, the house was relocated to 11343 Missouri Avenue in West Los Angeles and is one of the two home from the 6000 block of Odin Street that still exist today. This two-story house has 4 bedrooms and 2.5 bathrooms with an upstairs deck.


6826 Odin Street (Lot 9)
Architects Walter & Davis Pierpont ( built the French Village and Villa Valentino Apartments) designed this 9 room, 2 story Georgian home with 3 bedrooms, 2 baths and a detached garage for actor Casson Ferguson. Ferguson (1891-1929) a silent screen leading man, was credited for 56 films between 1917 and 1928. Ferguson appeared in Rudolph Valentino’s film, “Cobra” in 1925 and worked in several early Cecil DeMille productions. The house located at 6826 Odin Street, was demolished in 1954.

In 1926, actor Gareth Hughes resided at 6826 Odin Street. Hughes, who was born in Wales in 1894, was active on Broadway between 1914 and 1925. Between 1918 to 1931, Hughes was credited for 45 films, some of which he was the lead star. He is best known for his role in “The Spanish Dancer” which aired in 1923 starring Pola Negri and Wallace Beery. With the stock market crash of 1929, he lost his fortune and decided to go back to theater, retiring in the 1940s and becoming a missionary to the Paiute Indian tribe. He went on to spend his retirement at the Motion Picture Home in Woodland Hills, California, where he died on October 1, 1965, after a long illness.

Between 1927 and 1929 director Harry d’Abbadie d’Arrast (1897-1968) lived in the home. D’Arrast had 11 film credits between1927-1935. Harry d’Arrast’s entry into the movie industry was somewhat unusual–he was wounded while serving in the French army during WW I, and while recuperating in a military hospital, met French-born American film director George Fitzmaurice, who invited him to come to Hollywood after he had recovered. He did so, and got work as a researcher and technical adviser on several films, including Charles Chaplin’s A Woman of Paris: A Drama of Fate (1923), then became Chaplin’s assistant on The Gold Rush (1925). He made his directorial debut in 1927 and directed seven films until he left Hollywood in 1933. He also worked with director William Wellman in Wings (1927). Below d’Arrast is on the left with Charlie Chaplin at Chaplin’s studio. This house was destroyed in 1954 for the Hollywood Bowl parking lot.

6830 Odin Street (Lot 10)
Cinematographer Jack Freulich built this 5 room, one-story home in 1922 that was the third house on the left on Odin Street. His son, Henry Freulich, who also lived in this home, followed his father’s footsteps and became a cinematographer. Jack Freulich (1880-1936) was credited for The Hunchback of Notre Dame (1923) and Frankenstein (1931). Henry Freulich (1906-1985) was the cameraman for 285 credits between 1929-1969 including the Dennis the Menace series. While at Columbia Pictures in 1934, Henry was the cinematographer for “It Happened One Night” with Clark Gable and Claudette Colbert. He worked on over a hundred “Three Stooges” films. He worked in television later in his career until 1969. Henry was married to actress Kay Harris who starred in 8 B-films between 1941 to 1943 . This house located at 6830 Odin Street, was also demolished in 1954.

6836 Odin Street (Lot 11)

In 1922, owner S.S. Gross built an 8 room, 2-story Spanish style bungalow with 3 bedrooms, 2 baths, private maid’s bedroom and bathroom, and detached garage at 6836 Odin Street. The house was purchased by actor Tom Santschi (1878-1931) and his wife Lola in 1929. Santschi was a character actor that had over 300 credits between 1908 and 1931. He married actress Lola May in 1914 and they stayed together until he died of a heart attack in this home in 1931. According to the LA Daily News, Santschi died in her arms at the age of 50 and had been ill several months. High blood pressure caused him to collapse and have a heart attack. His wife, Lola May, starred in 7 silent films between 1914-1918, but was also active on Broadway between 1911 to 1913. Lola continued to live in the home until she remarried in 1936.

Screenwriter and producer Albert Cohen (1903-1984) lived in the home in 1939. Cohen worked from 1934 to 1965 in both capacities. He produced “Never Say Goodbye” starring Rock Hudson in 1956. He married actress-musician Jeanne Sorel (1913-2003), and had two children and later divorced. Jeanne had minor film and tv roles until 1977. She starred in Bewitched, The Flying Nun, Ironside, and The Monkees. Their daughter, Louise Sorel, was known for her long-standing role of Vivian Kiriakis on Days of Our Lives from 1992 to 2023. She was married to actor Ken Howard from 1973 to 1975. This house was demolished in 1954.
6840 Odin Street (Lot 12)
6840 Odin Street was built in 1920 by famed architect Arthur R. Kelly for H.H. Christie. This house was 2-stories with 11 rooms and a private garage. Haldane H. Christie financed the Christie Hotel and Kelly designed Hollywood’s first luxury skyscraper hotel in 1922. Christie resided here until 1934. While Christie was living here, he had bought the Glidden Hotel, which later became an annex to the Hotel Christie. This house was demolished in 1954.

Actress Edna Mae Oliver rented this house in 1930. Edna May Oliver (1883-1942) had 49 credits from 1923-1941 including; Pride & Prejudice (1940), Little Miss Broadway (1938) starring Shirley Temple, Romeo & Juliet (1936), A Tale of Two Cities (1935), Alice in Wonderland (1933) (Oliver played the queen), and Little Women (1933).

6850 Odin Street (Lot 10)
6850 Odin Street was built in 1920 by architect Arthur Kelly who also resided in the home until 1928. Kelly built the Playboy Mansion in 1926. The one story home had 5 rooms and a private garage. In 1930, actor Robert Armstrong resided in the home. Armstrong (1890-1973), was a character actor who had 185 credits between 1927 to 1964. He had a part in King Kong (1933).

Between 1936 to 1938, Swiss born Felix Locher (1882-1969) resided here with his wife and son, Charles, who was also an actor. Felix Locher did not start acting until the age of 73, when he visited his son, who later went by the stage name of “Jon Hall”, on the set of Hell Ship Mutiny in 1957 when he was spotted by the director who convinced him to play the part of the elderly Tahitian chief. From 1957 until his death in 1969, Felix was credited for 36 roles including; Frankenstein’s Daughter (1958), The Twilight Zone (1961), The Man from U.N.C.L.E. (1964), I Dream of Jeannie (1966), The Munsters (1966), Mission Impossible (1967), Star Trek (1967) and Gunsmoke (1968).

Jon Hall was born Charles Locher in 1915 in Fresno, California who started his acting career in 1935 as an extra and was cast on “Mutiny on the Bounty” starring Charles Laughton and Clark Gable. That same year, Fox Film Corporation hired him to star with Warner Oland and Irene Hervey in “Charlie Chan in Shanghai” under the stage name Jon Hall. In 1937, Hall starred opposite Dorothy Lamour in both “The Hurricane” and then “Aloma of the South Seas” in 1941. Hall also starred opposite Maria Montez in three films including” Ali Baba and the Forty Thieves” in 1943. In 1948, Hall was cast the lead as Robin Hood in “The Prince of Thieves”.

Hall was married three times. His first marriage was to actress Frances Langford in 1934. Langford started her career singing as Bob Hope’s vocalist on radio and then got acting parts in which she starred in “B” movies or received minor roles in “A” movies such as, Born to Dance, Hollywood Hotel, Yankee Doodle Dandy, and The Glenn Miller Story. They divorced in 1955 and then Hall married actress Raquel Torres in 1959. Torres had a brief career in acting from 1928 to 1936 and appeared in the Marx Brother’s “Duck Soup”. They divorced in 1967 and Hall then married a psychiatrist. To end the weakness and suffering due to cancer of the bladder, he shot himself in the head at the age of 64 in 1979. This house was demolished in 1954.
6854 Odin Street (Lot 15)
6854 Odin Street was built in 1920 by architect Arthur R. Kelly for Gertrude Baldwin. The one-story 5 room house, had a detached garage. This house was built with the address of 6854 but later referenced as 6858 Odin Street until its demise in the 1954. The O’Connor family bought this home during the 1920s and lived here until it the house was demolished.
6860 Odin Street (Lot 16)

6860 Odin Street was sold to a young director named John Ford and his newlywed wife by Myra Hershey of the Hollywood Hotel. This house was an English-style cottage surrounded by bushes for privacy, with a long winding stone walkway leading up to the front door. They moved in on October 1, 1920, and it would be their home for the next thirty-two years. This house was the last house on the left side of the street. Ford directed Stagecoach, The Grapes of Wrath, How Green Was My Valley, The Fugitive, Rio Grande, and The Quiet Man.

In 1932, Ford’s brother-in-law committed suicide in the garage of the home. John Wyllis Smith, 35, was an unemployed car salesman who shut himself in the garage with a running vehicle. Smith was found in the car was a half-done crossword puzzle and a newspaper clipping. The car exploded in the garage, hurling the garage doors 75 feet into the house that was across the street. A neighbor saw Smith drive into the garage at 11 a.m. and was in there for three hours before the explosion. He and his wife were separated and they have two small children. He was staying at the home while the Ford’s were on a cruise.

Ford loved this house and planned to live in it his whole life. He had to face that loss himself when the city of Los Angeles took away his home of thirty years by right of eminent domain. The Hollywood Bowl needed to expand its parking lot, so in 1954 the city gave the Fords sixty days’ notice to leave before bulldozing their hillside neighborhood on Odin Street. There was nothing they could do about the march of “progress” but accept a payment of $46,000. “He shouldn’t have ever had to move from there,” said Waverly Ramsey, the Fords’ cook at Odin Street since 1945. “It was just a lovely place. It hurt him having to move, because he had everything there, the children had grown up there, and it was home.” The Fords preferred evenings and weekends at the home and would often invite movie industry friends over to enjoy their private stock of alcohol during prohibition.
6855 Odin Street (Lot 17)

6855 Odin Street was built in 1920 and was a one story five room house with a detached garage. In 1954 a permit to relocate the house to 2153 Laurel Canyon Blvd. other side of Canyon Country Store was made by actress Louise Squire. She planned on moving part of the house and then add to it. However, this never happened-perhaps she did not have the money. In 1954, Squire was listed living at 8531 Wonderland Avenue with her mother .

Louise Squires was born in Memphis, Tennessee in 1906. When she was a teenager she was chosen as the “girl with the most physical culture” in Memphis. Soon after she moved to New York City and joined Ziegfeld Follies. In 1922 she started touring vaudeville with Billy Shone. Louise became a popular singer and was called “The Lillian Russell of Vaudeville.” She suffered a nervous breakdown in July of 1923. When she recovered she returned to performing with Billy. The beautiful blonde also appeared in the Broadway shows Hit The Deck and What The Doctor Ordered. Louise put together a new vaudeville act with dancer Bert Gordon in 1928. She appeared in 8 films between 1933 to 1945. (Below, this house almost was moved across the street from the Canyon Country Store in the 1950s).

In 1930 she was badly injured when one of her heated hair combs exploded. She was hospitalized with burns on her head, neck, and chest. Louise sued the Woolworth Company, the maker of the hair combs, and was awarded $25,000 in 1932. She used part of the money to buy a diamond ring for her mother. During the 1950s Louise started designing hats in Los Angeles.

This house is likely the “Hospitality House” that sits at the end of the Odin parking lot at the Hollywood Bowl now. The Hollywood Bowl Hospitality House (Volunteer Cottage) is located at the south base of Odin Hill, accessed from Odin Lot (Lot B) looking north. The house was one of the homes relocated to construct Odin Lot and was renovated in 1957 by Welton Becket and Associates for use by volunteers supporting the Hollywood Bowl Association. The 2-story rectangular home displays a Mid-Century Modern design.

6851 Odin Street (Lot 18)

6851 Odin Street was a one story, six room house with a detached garage, built in 1920 by owner Archie Mitchell. Actor Johnnie Walker bought the home in 1923 and lived there until 1932. Johnnie Walker (1894-1949) had 119 film credits from 1915 to 1939. Walker was a tall, dark-haired romantic lead of the 1920’s and best known for his role as a Broadway star in The Matinee Idol (1928). Walker did not manage the transition to sound particularly well, and was only cast in minor supporting roles after 1930. He was married to Mack Sennett’s bathing beauty, Maude Wayne from 1928 to 1936 and Broadway actress, Rena Parker who lived here with him.

Director William Hughes Curran (1893-1940) stayed here with the Walkers in 1924. Curran was credited for directing 16 silent western films between 1921 to 1929. He worked with actor Guinn “Big Boy” Williams in “Blaze Away”, “The Trail of Hate”, and “The Freshie”. In 1925, Curran directed several comic versions of William Shakespeare plays.
Between 1932 and 1933, Robert J (1903-1944) & Lucille Tasker, film writer for RKO Studios, who had 17 credits between 1932-1934. In 1931, Tasker wed Lucille Morrison, “said to be one of the first New York society women to go on the stage.” Her family fortune derived from the laxative Fletcher’s Castoria, prompting Tasker to refer to his bride as “the shit-pill heiress.” In June of 1932, Mrs. Tasker had been staying at the Hotel Hollywood and reported over $17, 500 worth of jewelry was stolen from the safe of the hotel. Mrs. Tasker indicated she left them in the hotel safe after a social function as she feared bandits would take them from her upon her return home to Odin Drive. Their marriage would end in 1934, by which time Tasker became a well-known screenwriter in the community.

Before his Hollywood stardom, Tasker’s family hit financial ruin and to keep his high school sweetheart happy with the lifestyle she was accustomed to, the then bookkeeper began robbing from Oakland restaurants. In May of 1924, Tasker became known as “the coffee bandit” as he would order a meal before pulling out a gun and asking for cash. However, Tasker wanted a “bigger payoff” and impulsively tried to steal from a popular dancehall and was immediately arrested. The 20 year old was sentenced to San Quentin Prison in 1924 on a robbery charge. While in prison, he edited the penitentiary newspaper and wrote a book called “Grim Haven” which sparked his screenwriting career. On December 8, 1929, after sixty-seven months behind bars, Robert Tasker received parole. Dressed like John Gilbert, Tasker walked out of San Quentin bound for Hollywood and got a job with Photoplay Magazine. One of the conditions of his release was that he was forbidden from writing about crime for the length of his parole.

Ironically, Tasker starting writing screenplays mostly about prison or crimes as he had first-hand experience. His first film aired in 1932 and was called “Hell’s Highway” starring Richard Dix. Tasker also wrote “Here Comes Trouble” starring Paul Kelly in 1936, “The Accusing Finger” starring Paul Kelly and Marsha Hunt in 1936, “San Quentin” starring Pat O’Brien and Humphrey Bogart in 1937, and “The Affairs of Jimmy Valentine” starring Dennis O’Keefe in 1942. (Paul Kelly, was the actor who drunkenly killed the husband of his lover, Dorothy Mackaye and served his manslaughter conviction alongside Tasker.) Although parolled, Tasker always seemed to “dance with crime”. He had collaborated with Samuel Ornitz, who became one of the “Hollywood Ten”: filmmakers who were cited for refusing to testify about their alleged membership in the Community Party.

As America entered World War Two, Tasker dreaded the prospect of being drafted so he headed south of the border to Mexico. He kept writing pictures and was credited for co-writing Victor Hugo’s “Les Miserables” in 1943. In December of 1944, at the age of 41, Robert Tasker was found dead in his home in Mexico City due to an overdose of sleeping pills. Tasker had married to the granddaughter of Costa Rica’s former president and had beaten up his wife’s politically connected lover. Rather than face a return to prison, he took his own life.

In 1951, Tasker was identified as a Communist by multiple witnesses appearing before the House Committee on Un-American Activities and an ex-convict, 7 years dead in the ground in Mexico, could hardly contest the accusation! This house was demolished in 1954.
6845 Odin Street (Lot 19)
Architects Spokenhauer & Seiler built the 7 room, one story house that had a 2-car detached garage in 1920. This was the house, that on July 30, 1940, 6 year old Jack Riportella, was found dead in shallow swimming pool at 6845 Odin Ave; missing since 3 pm and when he failed to return home for dinner, a missing persons report was made. His sister found him floating in the pool and dragged him from the water after a nine hour search. Several neighbors remembered playing near the Odin Street house. This house located at 6845 Odin Street, was demolished in 1954.

6831 Odin Street (Lot 20)

Architect Marshall P Wilkinson built the 7 room, 2 story house with a detached garage in 1922. Wilkinson built several homes in Los Angeles during the 1920s for Alan Ladd, Fred Astaire, Russ Columbo, Douglas Fairbanks, Jr. and Carole Lombard. Between 1936 to 1938, director Harold Young lived in this home. Young (1897-1972) attended Columbia University and initially worked as an editor for Warner Brothers and MGM, then as supervising editor for Paramount (in Paris) and for Alexander Korda’s London Films. His directorial debut resulted in his best film: The Scarlet Pimpernel (1934), for Korda. Young returned to Hollywood, under contract to Paramount (1935-36) and then Universal (1937-39 and 1941-43) and had 41 directing credits.

German director Richard Oswald rented this house after fleeing Nazi German in 1938 and remained in this house until 1948. Oswald completed three American films between 1942 to 1949 and one tv movie in 1951. He directed the “Isle of Missing Men” in 1942 and “The Lovable Cheat” in 1949, in which Charles Ruggles starred in. Oswald had formed his own production company in Hollywood.
The house located at 6831 Odin Street was relocated to 8116 Vista Del Mar in Playa Del Rey in 1954 only to be demolished by the LAX airport in 1967. (The house was in the desirable Playa Del Rey area called Surfridge, which was taken over by LAX in the 1960s and the home were either demolished or relocated. Only an eerie shell of the streets remain and can be seen while cruising down Vista del Mar).

6825 Odin Street (Lot 21)


Architect Frank Rasche built the 6 room, 2 story home with a detached garage in 1920. Russian born musician Max Rabinowitz (1891-1973) rented the home in 1937-1940. Rabinowitz worked for Columbia pictures starting in 1935 when he played the piano for the music in “Let’s Live Tonight”. During the 1950s and 1960s, Rabinowitz went over to Paramount and MGM and worked on “The Devil is a Woman”, “Four Sisters”, “Four Wives”, “The Great Lie”, “Forever, Darling”, “Ben-Hur”, “The Time Machine” and “Butterfield Eight”. This house, located at 6825 Odin Street, was demolished in 1954.

6821 Odin Street (Lot 22)

Architect Frank Rasche built the 6 room, 2 story English home with a detached garage at 6821 Odin Street in 1919. In 1954, the house was relocated to 2947 Lee Street in Boyle Heights and was torn down for construction of the Pomona Freeway in 1964.

6817 Odin Street (Lot 23)

Architect B.O. Frederick built the 5 room, one story home in 1923. Between 1932 to 1934, dialogue coach, Nina Moise, lived in the home with her mother. Moise was best known for her coaching in High Noon (1952) starring Gary Cooper & Grace Kelly and was Joan Collins’ coach in “The Girl in the Red Velvet Swing” in 1955. She started as a theatrical actress and director. Her film credits included work as assistant to Cecil B. DeMille on This Day and Age (1933), as associate director on Cradle Song (1933), and as a dialogue coach on My Marriage (1936). She helped performers including Buster Crabbe, Akim Tamiroff, Simone Simon, and Claire Trevor improve their voices or change accents. She also coached the voice actors on Disney films including Snow White (1937) and Pinocchio (1940). She may have had a personal relationship with Eugene O’Neil. 6817 Odin Street was demolished in 1954.

Charles Toberman, the real estate developer who helped to develop the Majestic Heights in the 1920s, was also heavily involved with the Hollywood Bowl. Toberman had negotiated the property transactions in the area since 1914 and was instrumental in completing the land acquisitions, including land on Highland Avenue for the Hollywood Bowl. Hollywood Hotel owner Myra Hershey owned much of Bolton Canyon and Toberman represented her when she sold 4 acres to the Hollywood Bowl for a minimal amount in the interest of the arts. At one time, Toberman served as president of the Hollywood Bowl so he could easily negotiate the Majestic Heights Tract to the Bowl for a minimal price. Toberman, who helped build Majestic Heights, would later have a hand in destroying it less than 30 years later. Below, circa 1954, the deconstruction of the Majestic Heights Tract.

Below 6820 Odin Street house on lot 8 is being moved to Missouri Avenue in the Hawthorne area of Los Angles.

Toberman was instrumental of assisting the Hollywood Bowl in obtaining land that Myra Hershey owned and she agreed to sell it for a nominal price. Hershey sold a total of 59 acres to the Bowl for less than $47,000. (Hershey sold the Hotel Hollywood to Toberman in 1945 who would raze the hotel.)

Odin Parking Lot for the Hollywood Bowl

Leave a comment